Furacão Milton atravessa a Flórida, mas estado evita inundações catastróficas

O furacão Milton provocou destruição na Flórida, deixando milhões sem energia, mas a tempestade evitou inundações catastróficas.

imagem do autor
Última atualização:  10 de out, 2024 às 16:29
Furacão Milton atravessa a Flórida, mas estado evita inundações catastróficas Furacão Milton atravessa a Flórida, mas estado evita inundações catastróficas

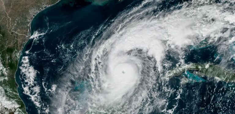
O furacão Milton atravessou a Flórida nesta quinta-feira (10), provocando devastação com tornados e deixando milhões de pessoas sem eletricidade. Embora a tempestade tenha causado danos significativos, especialmente no Condado de St. Lucie, a área da Baía de Tampa conseguiu escapar das inundações catastróficas inicialmente previstas. A tempestade também derrubou guindastes, destruiu telhados e afetou fortemente a infraestrutura de energia, enquanto equipes de emergência trabalham para avaliar a extensão total dos danos.

Fatalidades e tornados devastam comunidades na Flórida

A tempestade trouxe destruição para várias regiões da Flórida, com o Condado de St. Lucie sendo particularmente afetado. Pelo menos quatro mortes foram relatadas na área, resultado de um tornado que devastou uma comunidade de aposentados na costa atlântica do estado. Segundo a imprensa local, o tornado atingiu com força inesperada, destruindo residências e deixando os moradores sem tempo de reagir adequadamente.

No entanto, as autoridades ainda estão avaliando a extensão dos danos, enquanto equipes de resgate continuam a responder a dezenas de chamados de emergência. Entre os incidentes mais graves, está o relato de uma árvore que caiu sobre uma casa onde estavam 15 pessoas, incluindo crianças. Felizmente, todas as vítimas foram resgatadas e levadas para abrigos temporários.

Milhões de residências sem energia e danos à infraestrutura

Além das fatalidades, o furacão Milton deixou mais de 3 milhões de residências e empresas sem energia em toda a Flórida, de acordo com o site PowerOutage.us. Algumas áreas já estavam sem eletricidade desde a passagem do furacão Helene, que atingiu o estado há quase duas semanas, agravando ainda mais a situação.

Em St. Petersburg, o furacão também causou danos ao Tropicana Field, estádio do time de beisebol Tampa Bay Rays, ao abrir um buraco no teto. Apesar do impacto, não houve relatos de feridos no incidente.

A prefeita de Tampa, Jane Castor, comentou que a tempestade, apesar de perigosa, não se desenvolveu conforme o previsto, o que evitou inundações de grande escala. “Uma das bênçãos para nós foi o fato de não termos visto a tempestade se desenvolver como esperado. Isso salvou muita coisa”, disse Castor durante uma entrevista coletiva na manhã desta quinta-feira.

Risco de inundações ainda preocupa as autoridades locais

Apesar da relativa calma em algumas áreas, as autoridades continuam em alerta, especialmente para o risco de inundações nos rios, com a previsão de até 30 cm de chuva em algumas regiões. Os níveis de água dos rios estão sendo monitorados de perto, mas, até agora, os níveis permanecem iguais ou abaixo dos registrados durante o furacão Helene.

No entanto, a situação pode mudar rapidamente à medida que as águas acumuladas começam a fluir para os rios e áreas costeiras. As equipes de emergência estão de prontidão para lidar com possíveis inundações e realizar evacuações se necessário.

Em Fort Myers, na costa sudoeste da Flórida, Connor Ferin, um dos moradores afetados pela tempestade, descreveu o momento em que sua casa foi atingida por um tornado. “Tudo aconteceu instantaneamente, como se as janelas tivessem explodido. Peguei meus dois cachorros e corri para debaixo da cama. Durou um minuto, mas parecia uma eternidade”, relatou Ferin, que agora enfrenta os desafios de reconstruir sua vida após o furacão.

Furacão Milton enfraquece ao cruzar a Flórida

O furacão Milton atingiu a costa oeste da Flórida como uma tempestade de categoria 3 na noite de quarta-feira, com ventos de até 205 km/h. Ao cruzar o estado em direção ao Atlântico, a tempestade enfraqueceu para uma categoria 1, com ventos de 145 km/h, de acordo com o Centro Nacional de Furacões (NHC) dos EUA.